New sounder - first day screen shots

Learning how to use it...

____________________________________________________________________________

Fish! HARD!

Image Upload: 

Posts: 210

Date Joined: 12/11/12

nice

Fri, 2014-09-12 22:42

 Looks the goods mate  

chris raff's picture

Posts: 3257

Date Joined: 09/02/10

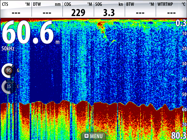
 I know diddlysquat , but is

Fri, 2014-09-12 22:47

 I know diddlysquat , but is all the noise because the gain might be cranked up too much ? .. just thinking at that speed it would be near on crystal clear , the ground on the 2nd pic looks like mine when sitting on 20+ knots it starts getting a little jittery . 

Certainly picking up the fishies though .. 

____________________________________________________________________________

Intelligence is like a four-wheel drive. It only allows you to get stuck in more remote places.”

Posts: 6454

Date Joined: 08/08/11

 I was turning the noise

Fri, 2014-09-12 23:14

 I was turning the noise reduction to low when we were drifting and the cranking it up when we were on the move. I think that second shot, we had just moved off and I had the noise reduction either off or on low.  

 

My standard practice is to start off with everything off, crank up the gain and then clear the screen by increasing the noise reduction.  Some of the controls are named differently to my last el cheapo furuno 

____________________________________________________________________________

Fish! HARD!

beau's picture

Posts: 4135

Date Joined: 24/01/10

Ha I do the complete

Sat, 2014-09-13 09:11

Ha I do the complete opposite, turn it down on the move because I get too much clutter then bump it up looking for ground/drifting

____________________________________________________________________________


Posts: 315

Date Joined: 07/05/11

We'll priced too.

Sat, 2014-09-13 08:58

 They're a nice unit. What transducer you using.?

cheer

____________________________________________________________________________

 Baron Sportsman

Just the depth that Varies

Posts: 6454

Date Joined: 08/08/11

 Just the standard 600 w

Sat, 2014-09-13 09:20

 Just the standard 600 w lowrance 50/200.

____________________________________________________________________________

Fish! HARD!

Posts: 6454

Date Joined: 08/08/11

 The othe thing I need to do

Sat, 2014-09-13 09:23

 The othe thing I need to do is move my deck wash take up point which is right next to the transducer and probably affecting the water flow around it.

____________________________________________________________________________

Fish! HARD!

sandbar's picture

Posts: 704

Date Joined: 25/10/09

catch?

Sat, 2014-09-13 20:49

 Anything caught out of these shots?

Posts: 6454

Date Joined: 08/08/11

 There's another pic on a

Sat, 2014-09-13 22:32

 There's another pic on a separate thread were the deckie hooked onto a big Sambo but it broke him off after five minutes or so.  I landed a nice dhuie but not on any of these shots.

____________________________________________________________________________

Fish! HARD!

Cruise Control's picture

Posts: 963

Date Joined: 03/11/10

 Keep them coming Randall.

Sun, 2014-09-14 11:45

 Keep them coming Randall. Really like to see performance from other units. 

scottnofish's picture

Posts: 1621

Date Joined: 28/08/07

yeh really makes you appreciate

Mon, 2014-09-15 06:20

 your furuno when you see shots like this lol